Kedves Szülők!
Egyesületünk az idei évben is megrendezi a Gyermeknapi horgászversenyt! 




Tisztelt Horgásztársak!
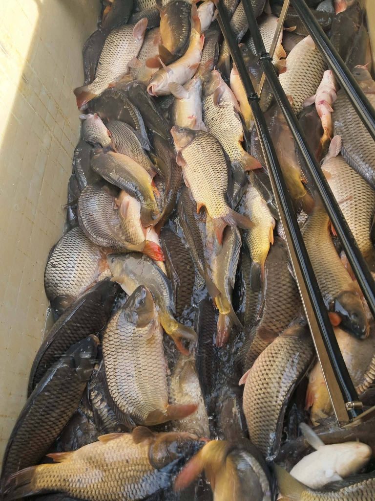
Sikeresen lezajlott a mai (április 2-ai) pontytelepítés.
A Kurca több pontján összesen 15 mázsa háromnyaras és 12 mázsa kétnyaras ponty, a Vekerbe 200 kg, a Kommun csatornába pedig 100 kg kétnyaras ponty került kihelyezésre.
Horgászaink kívánságának eleget téve a Gerecz tó sem maradt ki a telepítésből. 1000 kg fogható méretű, 2.3kg átlagsúlyú három nyaras ponty került a vízbe.
A tavon április 3-án, reggel 6.00-kor véget ér a telepítés miatti tilalom, kezdődhet a horgászat.
Köszönjük halőreinknek és civil horgászainknak a telepítésben való részvételt és segítséget.
A tavaszi telepítésből 500 kg háromnyaras ponty a MOHOSZ által meghirdetett Állománypótlási és Fejlesztési Célelőirányzat (ÁPFE) pályázati támogatással került a Kurcába. A telepítendő ponty összértékéből maximum nettó 575.000, azaz ötszázhetvenötezer Ft keretösszegű támogatást biztosít a MOHOSZ.


Tisztelt Horgásztársak!
2026. április 2-án, csütörtökön folytatódik a telepítés.
A Kurcába 15 mázsa háromnyaras és 12 mázsa kétnyaras ponty, a Vekerbe 200 kg, a Kommun csatornába pedig 100 kg kétnyaras ponty kerül kihelyezésre.
A tavaszi telepítésből 500 kg háromnyaras ponty a MOHOSZ által meghirdetett Állománypótlási és Fejlesztési Célelőirányzat (ÁPFE) pályázati támogatással kerül a Kurcába. A telepítendő ponty összértékéből maximum nettó 575.000, azaz ötszázhetvenötezer Ft keretösszegű támogatást biztosít a MOHOSZ.







